Open login
Close login
close
登入 國立虎尾科技大學校務發展中心
Username
Password
登入
忘記密碼?
請登入以管理網站,按下開啟登入視窗
home
國立虎尾科技大學校務發展中心
Google Search
Language
繁體中文
English
登入
Language
繁體中文
English
Open login
Toggle navigation
:::
|
學校首頁
|
網站首頁
|
網站導覽
|
聯絡我們
|
國立虎尾科技大學校務發展中心
Toggle navigation
:::
中心簡介
單位介紹
組織成員
校務發展委員會
成立宗旨
會議紀錄
校務發展研討會
114學年度校務發展研討會花絮
113學年度校務發展研討會花絮
112學年度校務發展研討會花絮
111學年度校務發展研討會花絮
110學年度校務發展研討會花絮
109學年度校務發展研討會花絮
108學年度校務發展研討會花絮
107學年度校務發展研討會花絮
評鑑專區
校務評鑑
系所品質保證
行政單位服務滿意度
校務資訊公開
高鐵校區規劃資訊
執行現況
規劃內容
基地環境概況
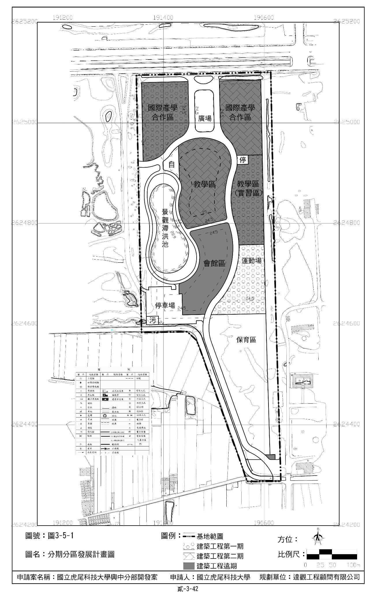
土地使用規劃
第一期建設規劃
校區實景
全區現況
第一區工程(完工)
第二區工程(完工)
高鐵校區籌備委員會
資料下載區
法規連結
:::
基地環境概況
土地使用規劃
第一期建設規劃
瀏覽人次:
46
土地使用規劃
Share
Tweet
Print this page